Évaluation sauvegardée !
Vous serrez le seul/la seule à le voir
Commentaire sauvegardé !
Ajoutez votre évaluation et/ou un commentaire pour cette annonce. Vous seul(e) le verrez

Terrain industriel dans carrer parpers 1 dans Franqueses del Vallès (Les)

Carrer Parpers 1

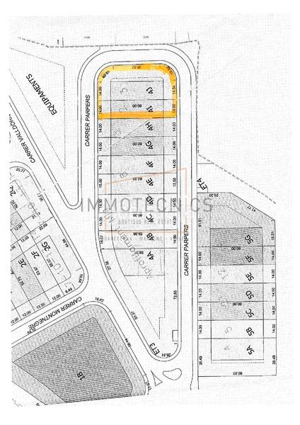
Solar edificable de uso industrial ubicado en el Sector U

Se trata de un solar edificable de uso industrial ubicado en el Sector U del municipio de Les Franqueses del Vallès.
Superficie Total: 1.539,24 m² (mil quinientos treinta y nueve metros y veinticuatro decímetros cuadrados).
Accesos y Ubicación: Tiene frente y accesos a la calle Parpers (actualmente proyectada) por sus lados Sur, Este y Oeste, lo que le proporciona una excelente fachada y posibilidades de entrada/salida.
Estatus Urbanístico: Forma parte de un Plan Parcial (Sector U), lo que implica que está sujeto a desarrollo urbanístico y tiene un porcentaje de participación del 2,44467% en los gastos de desarrollo del sector.
Linderos Destacados: El lado Norte linda con otra parcela de la misma propiedad.
En resumen: Es un solar industrial de 1.539,24 m² con tres fachadas a la calle Parpers en un sector urbanístico en desarrollo en Les Franqueses del Vallès.


**GASTOS E IMPUESTOS A PARTE DEL PRECIO DE VENTA**

¿Necesitas vender tu vivienda y no sabes por dónde comenzar?

“Somos una boutique inmobiliaria, invertimos en la calidad del anuncio así como su posicionamiento en los portales inmobiliarios, aportando un valor añadido a la comercialización para que posibles compradores tengan todas las facilidades de adquirir su vivienda”

Con la experiencia de más de 3000 operaciones cerradas.

Contacta con nosotros o ven a visitarnos a cualquiera de nuestras boutiques en BARCELONA, GRANOLLERS o CALDES D´ESTRAC.

dernière modification

Distribution

  • Terrain 1542 m2
Annonce: 46783000000376

Lieu

Carrer Parpers 1

Naviguez sur la carte en cliquant dessus
Nous vous prévenons lorsque nous aurons une annonce comme celle-ci ? Créez votre alerte et nous vous préviendrons par courrier électronique dès qu´il y aura de nouvelles annonces ou lorsqu´elles seront modifiées
 

Contacter IMMOTÈCNICS BOUTIQUE REAL ESTATE

Référence de l´annonce habitaclia/V-1018/2:

Vous verrez le numéro de téléphone après que vous ayez envoyé vos coordonnées à l´annonceur pour qu´il puisse vous répondre.
Le numéro de téléphone s´affichera après avoir contacté
Envoi en cours…