Évaluation sauvegardée !
Vous serrez le seul/la seule à le voir
Commentaire sauvegardé !
Ajoutez votre évaluation et/ou un commentaire pour cette annonce. Vous seul(e) le verrez

Propriété dans avenida del comerç 1 dans Mestral Reus

  • 9.390 m2
  • 193 €/m2

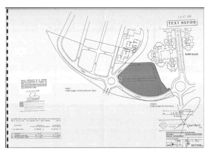
Se vende solar urbano que forma parte del Proyecto de Compensación del Área de suelo Urbano 6.4 "Gaudí Sud" de Reus, -2ª Fase con forma poligonal irregular, de superficie según Registro de nueve mil trescientos noventa metros noventa y un decímetros cuadrados, y según el proyecto de NUEVE MIL TRESCIENTOS NOVENTA Y UN METROS CUADRADOS, existiendo un exceso de cabida de nueve decímetros cuadrados. LINDEROS: Linda en todos su perímetros, con la zona verde que constituye la finca registral 51.835, propiedad del Ayuntamiento de Reus. Por el Norte, mediante dos líneas rectas discontinuas de 25'70 metros y 3'81 metros; por el este mediante línea quebrada en dos segmentos de 59'05, 16'87 metros y otra línea recta discontinua de la anterior de 54'31 metros lineales; Por el Sur, con frente a la Avda de Catalunya, mediante la precitada zona verde pública, en línea curva de 121'58 metros y otra línea recta de 4'23 metros, por poniente, mediante línea quebrada en dos segmentos de 45'62 y 30'37 metros y otra línea recta discontinua de la anterior de 10'87 metros. ZONIFICACIÓN: Zona de volumetria definida -Clave IV con destino principal a vivienda plurifamiliar. Tiene una edificabilidad de DIECIOCHO MIL OCHOCIENTOS VEINTE METROS CUADRADOS de techo, de los cuales dieciocho mil ciento treinta y nueve metros cuadrados se destinan a vivienda y 681 metros cuadrados a otros usos. Admite un número máximo de 212 viviendas.

Si desea mas informacion no dude en contactar con nosotros.

dernière modification

Distribution

  • Surface 9390 m2
Annonce: 14912004447917

Lieu

Mestral Avenida del Comerç 1

Naviguez sur la carte en cliquant dessus
Nous vous prévenons lorsque nous aurons une annonce comme celle-ci ? Créez votre alerte et nous vous préviendrons par courrier électronique dès qu´il y aura de nouvelles annonces ou lorsqu´elles seront modifiées
 

Contacter ATICNOU

Référence de l´annonce habitaclia/SBRE-0121153:

Vous verrez le numéro de téléphone après que vous ayez envoyé vos coordonnées à l´annonceur pour qu´il puisse vous répondre.
Le numéro de téléphone s´affichera après avoir contacté
Envoi en cours…